Search For Keyword.

Philippines checking typhoon's damage, casualties amid rains

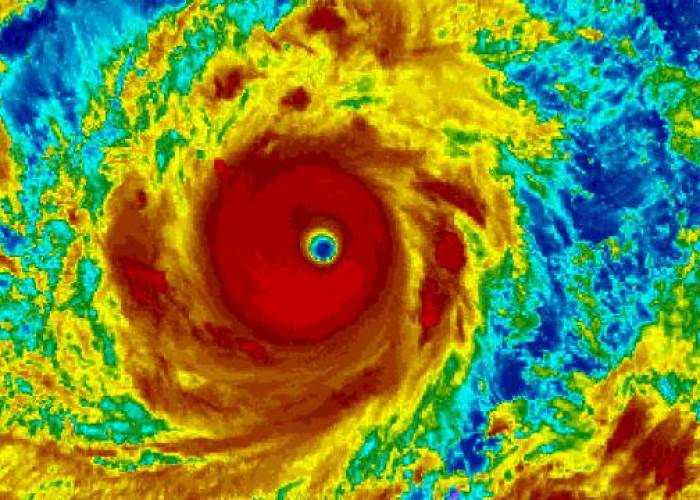
Philippine officials were assessing damage and checking on possible casualties as Typhoon Mangkhut on Saturday pummeled the northern breadbasket with ferocious wind and rain that set off landslides, damaged an airport terminal and ripped off tin roofs.

There are no immediate deaths reported but Defense Secretary Delfin Lorenzana said officials in northeastern Cagayan province, where the typhoon slammed ashore before dawn, were verifying the drownings of two children. Authorities were also checking what happened to about 70 men who reportedly returned to their coastal village to check on their homes during dangerous storm surges that saw walls of seawater whipped inland.

Mangkhut's sustained winds weakened to 170 kilometers (105 miles) per hour with gusts of up to 260 kph (161 mph) after it sliced across Luzon Island's flood-prone rice plains and mountain provinces toward the South China Sea, aiming at southern China and Hong Kong, where residents braced for the worst.

"It's still a life and death situation," Lorenzana said by telephone, citing past drownings in swollen rivers in mountain provinces.

Storm warnings remained hoisted in 10 northern provinces, including Cagayan, which could still be lashed by devastating winds, forecasters said. Tens of thousands of people on the typhoon's path had been evacuated.

At daybreak in Cagayan's capital, Tuguegarao, Associated Press journalists saw a severely damaged public market, its roof ripped apart and wooden stalls and tarpaulin canopies in disarray. Outside a popular shopping mall, debris was scattered everywhere and government workers clearing roads of fallen trees.

Many stores and houses were damaged but most residents remained indoors as occasional gusts sent small pieces of tin sheets and other debris flying dangerously.

Tuguegarao airport terminal was badly damaged, its roof and glass windows shattered by strong wind, which also sent chairs, tables and papers flipping about inside, Lorenzana said.

The typhoon struck at the start of the rice and corn harvesting season in Cagayan, a major agricultural producer, prompting farmers to scramble to save what they could of their crops, Cagayan Gov. Manuel Mamba said.

A government damage assessment was underway except in areas still being battered by wind and rain. Two air force C-130 cargo planes and 10 helicopters were on standby in Manila to help transport rescuers and aid supplies.

More than 5 million people were at risk from the storm, which the Hawaii-based Joint Typhoon Warning Center downgraded from a super typhoon but one that's still punching powerful winds and gusts equivalent to a category 4 Atlantic hurricane.

In Hong Kong, Security Minister John Lee Ka-chiu urged residents to prepare for the worst as Mangkhut barreled toward the southern Chinese city.

Cathay Pacific said all flights will be canceled between 2:30 a.m. local time on Sunday and 4 a.m. Monday.

"Because Mangkhut will bring winds and rains of extraordinary speeds, scope and severity, our preparation and response efforts will be greater than in the past," Lee told a briefing on Friday. "Each department must have a sense of crisis, make a comprehensive assessment and plan, and prepare for the worst."

In nearby Fujian province, 51,000 people were evacuated from fishing boats and around 11,000 vessels returned to port on Saturday morning.

China's National Meteorological Center issued an alert saying Mangkhut would make landfall somewhere on the coast in Guangdong province on Sunday afternoon or night, packing strong winds and heavy rains.

Ferry services in the Qiongzhou Strait in southern China were halted on Saturday and helicopters and tugboats dispatched to Guangdong to transfer offshore workers to safety and warn ships about the typhoon, state-run Xinhua News Agency reported.

Mangkhut, the Thai word for mangosteen fruit, is the 15th storm this year to batter the Philippines, which is hit by about 20 a year and is considered one of the world's most disaster-prone countries.

Typhoon Haiyan left more than 7,300 people dead or missing, flattened villages, swept ships inland and displaced more than 5 million in the central Philippines in 2013.

AP
(75)    (75)
Total Comments (0)

Comments About This Article

Please fill the fields below.
*code confirming note